您现在的位置: 首页 >> 答疑变更 >> 安徽公共资源交易集团项目管理有限公司 >> 服务

项目编号:

项目名称:

一、原公告主要信息

     原项目名称: 长丰县双墩镇龙湖苑等项目设计

     原项目编号: 2020BFCBZ00892

     原公告日期: 2020年08月15日

二、公告内容(更正事项、内容及日期等)

    

长丰县双墩镇龙湖苑等项目设计招标文件补疑

项目编号:2020BFCBZ00892

投标人疑问答复内容

1.商务、技术及报价文件详细评审标准2.2.31)商务评分标准中投标人业绩及项目负责人业绩提供甲方出具的证明文件是否可以满足设计任务已完成的证明文件要求?

答:业绩合同甲方出具的设计任务已完成证明文件可以作为本招标项目业绩要求中的设计任务已完成的证明文件。

2.招标文件要求投标人配备的项目组设计人员中,具有主管部门或行业协会颁发的工程勘察设计大师称号的,国家级得2分,省级得1分,问投标人配备2名省级大师是否可以得2分?

答:不可以,本得分不累计计分。

3.发包人需求第十条,第五点中提到如下文字,5.中标单位设计须符合合肥市规划设计规范和长丰县人民政府办公室关于进一步推进建筑产业化发展的实施意见(长政办[2020]3 号)相关规范要求条款且满足招标人提出的其它相关技术标准和服务要求。设计费用不予增加。

请问本次招标项目是否需要进行装配式建筑设计,此条对报价有实质性影响,请明确答复!

答:暂不能明确,需待主管部门确定,投标人应综合考虑,谨慎报价。

4.我公司为100%全资校办的设计企业,拟派部分设计组主要人员(含项目负责人)为事业单位编制人员,养老保险为学校缴纳,我公司提供:

1)由“省本级机关事业养老保险业务审核”及院校人事部门盖章证明的事业单位在编证明;

2)由工商行政主管部门开具的我公司为100%全资校企证明;

3)拟派事业单位编制人员相关注册证书注册单位在我公司的“全国建筑市场监管公共服务平台”(网址:http://jzsc.mohurd.gov.cn/home)查询结果截图;

4)国家住建部关于类似情况不认定为“挂证”行为的证明。

答:可以。

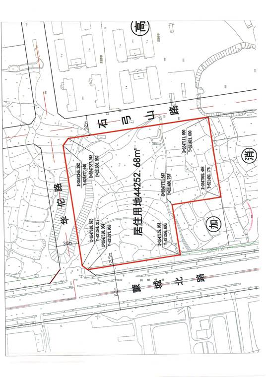
5.“长丰县双墩镇龙湖苑等项目设计”(招标项目编号2020BFCBZ00892)招标文件所给的CAD文件中的用地红线图与招标公告中所给的用地面积不符,CAD文件的用地红线范围与图片文件中用地红线图的也有出入,请确认以哪个文件为准。

答:以图片文件中用地红线图,如需CAD文件,需投标单位自行测量。

 

 

 

 

 

 

 

 

 

 

 

 

 

 

 

 

 

 

 


6.招标文件中没有明确的户型配比,请予以明确。

答:投标阶段暂不需要考虑户型比例。

7.因需要计算日照,请提供地块周边的相关建筑位置的CAD现状。

答:暂无,请投标人自行踏勘。

 

注:此补疑视同招标文件的组成部分,与招标文件具有同等法律效力。

三、附件

      答疑发布日期:2020年08月26日

附件:长丰县双墩镇龙湖苑等项目设计招标文件补疑826.pdf