您现在的位置: 首页 >> 答疑变更 >> 安徽公共资源交易集团项目管理有限公司 >> 工程
一、原公告主要信息
原项目名称: 徽河路等四条道路施工总承包
原项目编号: 2021BFYGZ02025
原公告日期: 2021年09月14日
二、公告内容(更正事项、内容及日期等)
徽河路等四条道路施工总承包项目补疑1
(项目编号:2021BFYGZ02025)
各投标人:
重要提示
1、人工费执行《关于贯彻执行2018版安徽省建设工程计价依据的通知》(合造价【2018】13号)和《关于合肥市建设工程人工价格信息发布及计价应用工作的通知》(合造价【2021】8号),其中定额人工费参与取费、取税,人工信息价相对于定额人工费增加的部分 26.3 元只计取税金。
2、本工程取费按“ 市政工程取费标准”中“ 道路、排水、桥涵工程”的费率计取;其中市政工程中挖或填土石方量大于5000m3的大型土石方工程,其企业管理费率8%、利润率8%,措施项目费率和不可竞争费率按市政工程相应费率乘0.6系数。
按业主要求,现对本项目招标工程量清单、最高投标限价编制作出如下补充:
第一部分:清单重新发放
1、本项目清单重新发放,以本答疑发的为准,详见附件1(清单、控制价)。
第二部分:招标文件修改
1、招标文件第三章评标办法详细评审标准中投标人业绩和项目经理业绩评分标准中合同金额要求修改为不低于6000万元,其他不变。
第三部分:招标需求
一、招标范围:
本项目分为一个标段 ,包括徽河路、家朋路、泾县路、网谷路四条道路,位于合肥市东部新中心,其中徽河路道路整体呈东西走向,西起现状钟油坊路,东至大众路(建设中),全长约1200m,标准路幅宽32m,双向四车道布置;家朋路道路为南北走向,南起徽河路, 北至裕溪路,全长约 360m。道路规划红线宽度 32m,城市支路;泾县路(原复兴路)道路西起现状泾县路,东至郎溪路,设计全长约 132m,道路红线宽度为 24m;网谷路道路位于合肥东部新中心内,道路为南北走向,南起滨河路,北至桃花潭路,全长约 250m。道路规划红线宽度 18m。
本项目的每条路所列单位工程包括:
(一)土石方工程:设计图纸范围内土方的挖、填、运、内倒、外弃、掺灰等全部内容;排水、电力排管、照明、监控管线沟槽开挖回填余方弃置等全部内容。
(二)道路工程:机动车道、非机动车道,人行道、围墙、公交站及拆除等设计图纸范围内的所有内容;
(三)排水工程:包含雨污水管道、检查井、雨水口、出水口等设计施工范围内的所有内容;
(四)交通工程:包含交通标线,交通标志杆件基础、交通监控杆件基础、管道预埋等设计图纸范围内的所有内容;
(五)电排工程:包含管道、管道混凝土包封、工井等设计图纸范围内所有内容。
(六)照明工程:包括路灯基础、灯杆灯具、管道、线缆等设计图纸施工范围内的所有内容。
(七)绿化工程:包括绿地整理、苗木采购、栽植、养护、等设计图纸施工范围内的所有内容。
(八)监控工程:包括交通监控系统、电子警察系统、交通信号控制系统、监控杆件基础以及管线预埋和工井等所有内容
以下项目不在本次招标范围内:
无。
二、
暂定项目:
(一)
以下项目按照业主要求,以暂定工程量计入分部分项工程量清单,投标人综合考虑报价,中标后按暂定工程量计入,结算时不予调整。
无。
(二)
以下项目按照业主要求,该项目暂列金额总计为380万元,其中,在“徽河路-道路工程”中计入240万;在“家朋路-道路工程”中计入65万;在“泾县路-道路工程”中计入25万;在“网谷路-道路工程”中计入50万;
(三)
执行暂估价的材料、设备、专业工程及其金额如下:
无。
三、按项列入清单的内容,标后不予调整:
以下项目按照业主要求,按项计入,投标人自行踏勘现场,综合考虑报价,中标后不予调整。
1、
交通监控系统中的回传光纤租赁费用,租赁期为2年,该项费用在最高投标限价中按每项16000元考虑,分别计入徽河路与网谷路的交通监控工程分部分项清单中,投标人自行勘察现场,综合考虑报价,费用包干,中标后不予调整。
2、
杆线迁移、保护费:道路红线范围内的现状10Kv电杆、变压器等临时迁移保护:在工程实施阶段将现状杆件、电缆、变压器等迁改至道路红线以外500m范围,待电力排管建成后拆除杆件并将电缆割接入地下电排管,主要工作内容包括杆件的基础拆除及恢复、杆件迁移、杆线保护、10Kv电缆割接下地等相关工作。该项费用,在最高投标限价中按一项10万元考虑(每条路5处杆线),分别计入每条路的道路工程分部分项清单中,具体数量投标人须自行勘察现场后确认,综合考虑报价,费用包干,中标后不予调整。
四、补充图纸及修改图纸的说明:
本工程在第一次发放图纸后有补图,以发放的最终图纸为准。
五、
甲供材:无
六、温馨提示:投标人投标报价还须仔细阅读本项目招标文件,慎重报价。
1、本工程采用商品砼。
2、灰土采用路拌。
3、本项目施工范围内对原有综合管网的疏通、封堵、破除、迁移、保护费用,清单均不单独列项,费用包含在报价中。
4、本项目施工范围内涉及原有检查井升降、井圈加固及隐性井盖的费用,清单均不单独列项,费用包含在报价中。
5、交通监控工程中涉及到的第三方检测费、辅材耗材及系统集成费,清单不单独列项,费用包含在报价中。
6、因施工导致现有道路、绿化破坏并恢复的费用,清单不单独列项,费用包含在报价中。
7、本项目新旧雨污水管道衔接费用,清单不单独列项,费用包含在报价中。
8、地下管线测量费用,中标人负责工程过程中及验收合格后按行业主管部门要求完成地下管线测量(排水、路灯、信号监控、供水、燃气、综合弱电、铁塔等,如需)工作,并形成正式成果文件移交、归档资料,负责办理所有相关手续及承担费用。此项费用,清单不单独列项,费用包含在报价中。
9、综合管线施工配合费,配合供水、燃气、热电、铁塔、综合弱电、中水等配套工程单位完成相关建设工作,组织参加单位按时序建设和现场安全文明管理,配合收集整理竣工验收资料;提供施工水电接口,并负责沟槽回填(上述管线单位仅施工沟槽开挖和管道敷设)及余土外运(含新建、迁改及既有管道),回填材料材质与雨污水沟槽回填材质要求相同或按招标人要求;双层井盖安装(含标识);井筒标高衔接、与部分既有检查井座的升降、加固、井盖座更换、完成所有水电气和配套工程井口防护封堵等。投标人在投标报价时须认真研究综合管线图、地勘报告并踏勘现场。此项费用,清单不单独列项,费用包含在报价中。
10、因施工过程中,因管道间距过小采取的必要保护措施。此项费用,清单不单独列项,费用包含在报价中。
11、水电接引、电源报装费用,清单不单独列项,费用包含在报价中。
12、施工围挡:因交通组织需要,中标人必须在主要出入口设置门楼,硬质围挡必须按双侧通长设置。门楼、围挡必须满足招标人和《合肥市围挡导则》要求。此项费用,清单不单独列项,费用包含在报价中。
13、施工便道:中标人必须沿线企业、周边居民交通出行,按招标人或地方政府要求修建临时道路解决交通出行问题,以及自身施工时必要的便道,包括涉及到的道口开设、绿化迁移、杆管线迁移、便道建设、日常维护、标识标牌安装、形象宣传、围挡、绿植、排水、车辆冲洗平台、临时用地等工作由中标人负责实施,以及承担相关手续办理涉及的行政缴费、建设费用、各项协调费用等。此项费用,清单不单独列项,费用包含在报价中。
14、因现场施工需要,对排水沟槽两侧采取的支护以及沟槽底的不良地基处理。此项费用,清单不单独列项,费用包含在报价中。
15、因现场施工需要,对照明路灯的供电报装及亮灯费所产生的费用,清单不单独列项,费用包含在报价中。
16、其他业主重要提示及未尽事宜详见招标文件。
第四部分:设计文件及技术补充说明
道路部分:
共性问题:
1、本项目土方开挖、运输及运距如何考虑?
答:(1)本项目工程量清单土方按地勘资料及网格测绘图、路基、道路横断面处理等方案计算。
(2)本项目最高投标限价余土外弃运距按15公里计算,借土运距按3公里计算,投标人应自行踏勘现场并结合项目周边取、弃土点情况以及管理部门相关要求,综合考虑报价,费用包干,中标后不予调整。
(3)本项目土方运输中产生的涉及渣土消纳处置、土场费、土源费、保洁费及相关管理部门收取的管理费等所有费用均由投标人自行考虑并含在投标报价中,中标后不得以任何理由提出索赔。
3、四条道路的路基处理开挖土方是否可用于或部分用于现场灰土拌和?
答:本次招标范围的4条道路中开挖土方全挖全弃,灰土拌合用土考虑外借符合设计要求的优良土。
4、四条道路的拆除工程中涉及拆除的工程量是否可以按照设计图纸中提供的工程量?
答:是的,在最高投标限价中,涉及拆除工程的工程量均按照道路主要工程数量汇总表提供的量计入。投标人须自行踏勘现场,综合考虑报价。
3、请提供四条道路的拆除工程量表中的沥青混凝土路面、人行道、缘石及小区围墙的拆除做法?拆除后是否按原样恢复?
答:(1)网谷路拆除工程:沥青路面(4+6+32水稳+20低剂量水稳),拆除人行道(6cm面包砖+3+15砼+15碎石)
(2)家朋路拆除工程:沥青路面(4+6+20砼+20碎石),拆除侧石(80x12x30花岗岩),拆除围墙(小区施工临时砖砌围墙高2米),拆除后不做恢复。
(3)徽河路拆除工程:拆除围墙(做法详见《DL-39~40 围墙型式》中的样式二),拆除后原样恢复。
5、本次工程项目中的所有公交站是否只做站台部分,不涉及站牌和顶棚部分?
答:是的,只做站台部分,做法同人行道。
个性问题:
6、
家朋路中的拆除绿化带70m2,请提供绿化带拆除做法?
答:绿化拆除工作不在清单中单独列项,投标人须自行踏勘现场,综合考虑报价。
7、
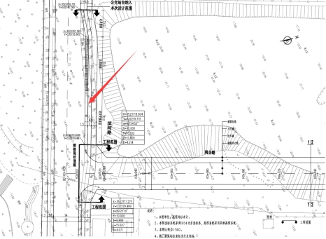
请明确网谷路道路工程中关于下表所示的机动车道、非机动车道和人行道的做法和工程量,并确认此处范围在何处?
答:此处为道口恢复段,机动车道、非机动车道和人行道的工程量均在最高投标限价中按此工程量表考虑,其做法及范围如下图所示,
8、
请明确此处(网谷路与桃花潭路交口)道路破复的面积是否计入本次招标范围?
答:是的,该处属于本次招标范围,其破除和新建的工程量均应计入清单。
9、
徽河路道路工程中路基处理灰土,其含量是否为下图所示?
答:本次设计所有路基处理段的灰土含灰量均由“4%+5%”改为“4%+6%”。
10、
徽河路道路中此处面积是否计入本次招标范围?请提供做法?
答:是的,此处为道路口过街中岛,做法同人行道。应计入其工程量。
排水部分:
共性问题:
1、沟槽挖土方是否可以用于回填灰土的拌和利用?
答:挖方均全挖全弃。
2、请明确本项目的弃土、借土运距?
答:弃土、借土运距由施工单位自行考虑。
3、泾县路是否只有雨水、没有污水管网?
答:是。
4、预留井是否采用混凝土检查井、宽边井盖?现场是否无人行道路检查井?
答:现场所有检查井均全部采用混凝土检查井、五防式宽边防沉降球墨铸铁井盖。
5、预留检查井是否按雨水井DN1250,污水井DN1000混凝土检查井计入?
答:除徽河路Y8-1预留井采用DN1500,其他预留井均按雨水井DN1250,污水井DN1000混凝土检查井计入。
6、是否沟槽均采用中粗砂回填至管顶以上50cm,50cm以上采用灰土回填?跨越绿化带沟槽段是否也按此做法回填沟槽?
答:徽河路沟槽均采用中粗砂回填至管顶以上50cm,50cm以上采用6%灰土回填。网谷路、泾县路、家朋路三条路采用120°中粗砂基础,基础以上采用6%灰土。跨越绿化带沟槽段也按此做法回填沟槽。(都采用6%灰土)
7、设计说明推荐采用Ⅱ级钢筋混凝土承插管?
答:是。
8、雨污水预留支管以及预留井数量、位置是否以平面图示意为准?
答:以图纸为准。
9、是否均采用明挖法进行管道沟槽开挖?若需要支护,请明确支护的做法以及具体的位置?
答:是。
10、是否污水采用闭水试验,雨水管道无需闭水试验?
答:均需进行闭水试验。
11、雨水口盖板是球墨铸铁材料还是复合盖板?
答:球墨铸铁盖板。
个性问题(网谷路、泾县路、家朋路)
1、图集无DN700钢筋砼检查井。是否DN700井相应均调整为DN1000井?
答:钢筋砼检查井最小为1000,标注700相应均调整为DN1000检查井。
2、网谷路、泾县路、家朋路三条路的雨水连接管是否均采用DN300管道?
答:是的,雨水连接管全部为DN300。
个性问题(徽河路)
1、徽河路是否顶管才用3级管道,非顶管部分为2级管道?
答:是,本次徽河路不涉及顶管,均采用II级钢筋混凝土管。
2、徽河路没看到1600以上的管道?
答:徽河路新建管道无DN1600管道,在水东路以南有DN1800管道。
3、满包雨水连接管怎么考虑?
答:采用C20砼对雨水口连接管进行20cm厚满包。
4、请明确是否除交汇井、沉沙井外,检查井做法是否详见06MS201-3?
答:是。
5、检查井及雨水口加固是设计说明图集做法为准还是以详图做法为准?
答:检查井加固以说明图集做法为准,雨水口加固以详图做法为准。
6、土边沟是否是露天边沟,截面尺寸请予以明确?
答:尺寸0.4*(0.4~1.2)*L,是露天土边沟(边坡坡度1:1),边坡需绿化处理,做法同道路边坡绿化处理。两处边沟合计按工程量800m2计入。
7、
徽河路雨水口是否采用16S518-P12、13做法?
答:是的。
8、徽河路交汇井Y8-1是否有误?
答:有误,交汇井应为Y8-2。
共性问题
电排工程
1、所有电力排管沟槽回填是否均采用6%灰土回填?
答:电力排管沟槽挖土方均为全挖全弃。四条路电力排管沟槽采用均6%灰土回填。
绿化工程
1、所有绿化苗木是否为一级养护、两年?
答:一级养护,一年养护期。其中成活养护期1个月、保存养护期3个月、日常养护期8个月。
照明工程
1、
路灯配电箱电源是否在本次范围内?
答:在本次招标范围。
2、请明确徽河路、家朋路、泾县路、网谷路4条路的路灯配管沟槽回填具体做法?
答:照明工程沟槽挖土方均为全挖全弃。四条路的路灯配管沟槽均采用素土回填。
交通监控
1、
交通监控工程量通过招标图纸无法准确计量,是否可以根据概算材料表中的工程量计入清单?
答:可以,按此量一次性包死,清单范围内不再进行调整,因审图或验收所提修改的,量价均不予调整。
个性问题
徽河路
电排工程
1、手井与工井连接的电力排管(B-B)是都采用2*4排管断面?
答:是的。
交通工程
1、请提供三角停车让行标志的尺寸?
答:停车让行标志的尺寸为正三角形边长80cm标志板。
2、
12个单柱式路名牌的尺寸是否均为1500*450mm?
答:均为1500*450mm
3、请提供反光防撞柱的具体做法?
答:取消反光防撞柱
绿化工程
1、绿化带隔离护栏基础是否采用C15混凝土?
答:采用C15混凝土
2、绿化带部位有零星7平米的硬质铺装,是否和人行道做法一致?
答:绿化带部位的硬质铺装,和人行道做法一致,工程量计入道路工程的人行道中。
照明工程
1、一体式箱式变压器系统请明确,请明确安装具体位置,是否与配电箱AP1为一体?
答:不是,设计仅考虑路灯控制箱位置,箱变具体安装位置需投标人后期报装时根据电力部门要求确定。
2、请明确VV22-1KV-4*50电缆是否仅为路灯配电箱电源电缆,长度以此工程量为准?
答:以此工程量为准,结算时量价均不予调整。
3、一体式箱式变压器是否在本次范围内,请明确基础做法?
答:箱变为本次范围,箱变为整体采购,基础做法需满足设计及甲方要求。
4、请提供徽河路管道沟槽垫层具体做法?
答:具体做法如下
家朋路
照明工程
1、工程量表中YJV-0.6/1kV-5x16具体用在何处,请明确?
答:路灯照明配电箱进线电源线。以此工程量为准,结算时量价均不予调整。
泾县路
照明工程
1、路灯工程量表中“路灯迁移”请明确具体路灯规格、参数、迁移位置?
答:迁移路灯为单挑臂路灯,见图
;位置就近迁移,见平面图,费用由投标人综合考虑。
2、
具体工程量是否以工程量表为准?
答:以工程量表为准,不再调整。
网谷路
电排工程
1、网谷路的一座现状直通井改造为三通井,请提供具体做法?
答:直通井改造为三通井的做法及工程量:将现状工井新建线路侧,工井侧墙拆除,拆除墙体长6米,宽0.25米,高2米。拆除后按图纸三通井做法恢复新建线路侧做法。恢复部分,C30混凝土18m,C15混凝土2m3,钢筋1吨。
照明工程
1、工程量表中YJV-0.6/1kV-5x16具体用在何处,请明确?
答:路灯照明配电箱进线电源线。以工程量为准,结算时量价均不予调整。
2、路灯工程量表中“路灯迁移”请明确具体路灯规格、参数、迁移位置?
答:迁移路灯为双挑臂路灯,见图
;位置就近迁移,见平面图。费用由投标人综合考虑。
招标人名称:合肥东部新中心建设投资有限公司
地址:合肥市瑶海区裕溪路441号
联系人:张国旗
联系方式:0551-62810519
招标代理:安徽诚信项目管理有限公司
地 址:合肥市滨湖新区南京路2588号(徽州大道与南京路交口)六楼
联系人:张工
联系方式:0551-66223672
2021年9月18日
三、附件
答疑发布日期:2021年09月18日